[摘要] 近日,青岛市规划局出台了《福州路(黑龙江路至重庆路)打通工程规划方案》,拟建设及完善福州路打通工程,分流目前新都心车辆外出给周边道路带来的交通压力
提起近两年岛城楼市最火热片区,“新都心”无疑是榜上有名。这片曾经不被待见的区域在万科、中海等大鳄的进驻下迎来了飞速发展。然而,当地产大鳄的新盘在新都心成片地拔地而起后,交通配套的重要性也日趋显现。近日,青岛市规划局正式出台《福州路(黑龙江路至重庆路)打通工程规划方案》,根据最新规划,建设及完善福州路打通工程,分流目前新都心车辆外出给周边道路带来的交通压力。同时备受瞩目的“双山隧道”也在此次方案中揭开神秘面纱。
现阶段拟打通黑龙江路至台柳路 双山隧道揭“神秘面纱”
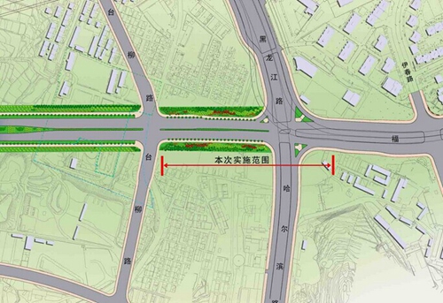
本次实施范围示意图
昨日,青岛市规划局发布了《福州路(黑龙江路至重庆路)打通工程规划方案》。方案显示,福州路打通工程南起集贤路(莱钢立交落地点以南),北至重庆路,总长约1.85km。而本次实施的范围为黑龙江路至台柳路,长约250m。
重庆路交叉口
此外,方案中还提及了具体的道路实施方案,集贤路至黑龙江路约550m范围为现状道路拓宽,根据交通现状和交通需求,规划将该路段拓宽为双向八车道;此前一直备受关注的“双山隧道”也在此次的方案中展现了“庐山真面目”。据方案显示,黑龙江路至重庆路约1.3km范围为新建道路,即为“双山隧道”。沿线分别于黑龙江路、台柳路相交,规划采用双洞六车道隧道下穿一号线和双山,向北在德丰路路口处与重庆路相接,隧道段长390m。
重庆路节点远期方案
根据规划显示,此次将要实施的范围为黑龙江路至台柳路路段,由于新都心目前正处于开发期,附近多处新建项目正如火如荼的进行施工,其中,位于该处的两个大型综合体项目万科中心和和达中心城几乎占据了台柳路北侧、规划1号线南侧区域。而在地图上也可以看到,由福州路“一路向北”到达莱钢立交桥下黑龙江路时,车辆只能选择“绕远”迂回前往重庆路;此外,黑龙江路至重庆路中间有双山“挡道”,根据规划此处将修建“穿山”隧道,日后将极大的便利来往车辆的通行。
福州路北上重庆路双山成“路霸” 道路打通将不再“左右为难”
“路霸”双山已被新建住宅及围挡“团团围住”
为了进一步体验新都心目前的交通状况,记者驱车由福州路向北行驶,一路到达莱钢立交桥下转盘处。此处东西主干道为为黑龙江路,道路呈“T字形”,来往车辆在此处若想到达台柳路,只能选择“向左走”或是“向右走”,以迂回的方式抵达目的地;而若想到达重庆路也是如此。记者以黑龙江路万科中心为出发点,首先向左经过黑龙江路到达清江路附近,再由清江路转向台柳路;而沿清江路或淮安路继续“北上”才能到达重庆路。而走过该段路程后记者发现,清江路由于不是主干道,路面较为狭窄,仅为双向两车道;不仅如此,清江路附近有不少新建楼盘正在施工,路况较差不易通行,很容易造成路堵现象。
记者实地“考察”从黑龙江路至台柳路/重庆路路线
随后,记者折回黑龙江路万科中心出发点,向右行驶沿黑龙江路转向合肥路,再沿蚌埠路向北行驶后才能进入台柳路;同样如果需要到达重庆路也需要沿着蚌埠路“一路北上”。而在这条路线上记者同样发现,由黑龙江路转向蚌埠路的信号灯时间较长,且蚌埠路为双向五车道,虽然与清江路相比“宽敞”不少,但往来新都心车辆大多汇集于此,交通压力大,也容易造成路堵现象。
记者经过实地走访发现,不管是“向左走”还是“向右走”,由黑龙江路到达重庆路以目前的交通状况都要走一些“冤枉路”,绕圈行驶,可谓是“左右为难”。而根据《福州路(黑龙江路至重庆路)打通工程规划方案》,根据方案中的图示显示,沿福州路至黑龙江路直线打通至台柳路,再由台柳路经过规划1号线经过穿山隧道直达重庆路,将大大缩短行驶距离及行车时间。不仅如此,工程衔接福州北路和重庆路后,也有利于分流重庆路车辆,并且极大的缓解南京路、清江路、蚌埠路、黑龙江路等周边道路的交通压力。
铺路、拓宽 建地铁、隧道 新都心“立体式交通网”现雏形
万科中心与和达中心城分踞新建道路附近
地上道路拓宽、铺设新路、地下地铁工程正在如火如荼的建设中,再加上穿山隧道即将实施,新都心正在建设地上地下的“立体式交通网”已见雏形。
交通利好带来片区的兴旺发展,选址新都心动工建设的新项目此起彼伏,足可见这一新兴片区不俗的实力。而此次《福州路(黑龙江路至重庆路)打通工程规划方案》即将打通的主干道让新都心的楼盘更加炙手可热。除了新都心的“领航员”万科地产旗下万科中心、万科蓝山及万科城外,和达中心城也将与万科中心共同分享此次道路打通带来的利好。据了解,万科中心目前写字楼均价16000元/㎡,而和达中心城在售商铺目前为28000元/㎡,两个项目均毗邻即将动工的规划道路及双山隧道,未来升值潜力不容小觑。
除此之外,这一贯穿南北的主干路所辐射的片区还包括清江路、淮安路一带新盘,出行交通的顺畅让这些项目更能赢得购房者的青睐。据记者了解,这一带的新盘青建太阳岛目前均价为13000元/㎡、万科城均价15000元/㎡、保利叶公馆均价14000元/㎡、德馨筑家11000元/㎡。道路实施贯通、双山隧道通车后,将给入住在此的居民带来居住及出行的便利。(记者 李倍)
【相关阅读】










